Το νέο drone της DJI, το Mavic 3T Enterprise RTK, είναι ότι πιο τεχνολογικά εξελιγμένο drone υπάρχει για φωτογραμμετρική αποτύπωση.
Μερικά από τα βασικά χαρακτηριστικά του παρουσιάζονται παρακάτω:
- 4/3 CMOS Ευρυγώνια κάμερα 20 MP
- RTK GNSS
- Μέγιστη ταχύτητα πτήσης 15 m/s
- Μέγιστος χρονος πτήσης 45 m
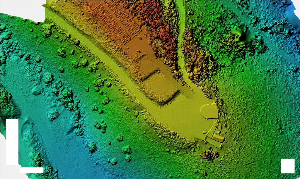
Τα αποτελέσματα από την πρώτη δοκιμαστική πτήση και φωτογραμμετρική αποτύπωση είναι ικανοποιητικά.
Για πτήση από ύψος 80μ. με επιλογή follow terrain και χωρίς φωτοσταθερά, τα 8 σημεία ελέγχου έχουν RMSe X = 0.014μ. Y=0.011μ. Z = 0.022μ.


